Small Animal Surgery & Medicine
Medicine
Our small animal medicine services cover the diagnosis and treatment of a range of different illnesses/conditions.
These include, but are not limited to, the following:
- Emergency cases such as tick paralysis, snake bite, and intoxications.
- Gastrointestinal disorders such as parvovirus, internal parasites, IBD, and pancreatitis.
- Cardiovascular diseases, including congestive heart failure in cats and dogs, and heartworm disease.
- Respiratory disorders, including feline asthma, canine chronic bronchitis, collapsing trachea, and canine cough.
- Musculoskeletal disorders, including arthritis, polyarthritis, and joint infections.
- Endocrine disorders, including hyperadrenocorticism, hyperthyroidism, hypothyroidism, and diabetes.
- Neurological conditions, including seizures, reproductive issues, pregnancy diagnosis, ovulation timing, and canine A.I.
- General wellness issues such as vaccinations, parasite control, and nutrition advice.
While most conditions can be treated at our surgery, we also offer referrals to specialist veterinary practices for those more complicated cases.
Ultrasounds
At Valley Vet Surgery, we’re proud to offer comprehensive ultrasound services at our Marian and Mackay surgeries. This non invasive diagnostic tool plays a vital role in helping us understand your pet’s health.
Ultrasound offers versatility in diagnosis. We can use ultrasound to examine a wide range of internal structures, helping detect organ abnormalities, tumours, urinary and bladder issues, and other conditions.
We also offer reproductive ultrasound. This is a useful and non-invasive way to confirm pregnancy in your pet. While it’s not always accurate for counting the number of puppies or kittens, it does allow us to detect pregnancy from around 4 weeks gestation.
Cardiac Ultrasound (Marian Only)
We’re excited to now offer cardiac ultrasound at our Marian surgery.
Using specialised imaging, our vets can evaluate heart structure and function, diagnose heart conditions. This can assist in determining severity of your pets condition so the best treatment can be planned.
Radiology
All three of our surgeries Marian, Mackay, and Walkerston are equipped with digital radiology (X-ray) technology. This allows us to capture high-quality images quickly and efficiently, right here on site.
Our experienced veterinary team uses these radiographs to assess and diagnose a wide range of conditions. With years of training and skill, our vets interpret each image carefully to help get to the bottom of what’s going on with your pet.
Digital X-rays can be a powerful diagnostic tool used to investigate signs of illness or unexplained symptoms. It can also assist with detecting foreign objects your pet may have swallowed, evaluate skeletal injuries such as fractures or joint issues and identifying signs of arthritis, tumours, or internal abnormalities.
X-rays can also be helpful in the later stages of pregnancy to estimate the number of puppies or kittens your pet is carrying. This is typically done closer to the due date when the puppies or kittens have developed enough for their skeletons to be visible. While not always foolproof, it can assist with planning for delivery.
Radiographs are a useful diagnostic tool that are often one of the first steps in getting a clearer picture of your pet’s health.
Nature's Symphony
Nature's Symphony
Laboratory Testing
Each of our locations are equipped with an in-house laboratory, allowing our vets to run a wide range of diagnostic blood tests quickly and efficiently.
These tests provide valuable insights into your pet’s internal health, offering information that can’t be seen through a physical exam alone. Having these results available onsite means we can make informed decisions faster, whether your pet is unwell or about to undergo a procedure.
When Is Blood Testing Used?
- Pre-anaesthetic screening – Blood tests before surgery help us assess your pet’s health and reduce anaesthetic risk
- Sick patient diagnosis – In-house testing for blood and urine can assist in fast tracking a diagnosis, allowing treatment to start sooner and improving outcomes
- Routine health checks – Early detection of underlying issues can make all the difference in long-term health
Progesterone Testing (Marian Surgery Only)
Our Marian surgery also offers in-house progesterone testing, a helpful tool for breeders and pet owners alike. This test can assist with pinpointing the ideal time for mating, improving the chances of a successful pregnancy and can assist in estimating when a female may be ready to go into labour.
Having results available on the same day means less waiting and more accuracy for this time sensitive test.
Hospital Care
At Valley Veterinary Surgery, we take pride in providing exceptional care for all hospitalised patients across our Marian, Mackay, and Walkerston surgeries. Our facilities are designed with both comfort and safety in mind ensuring your pet can rest peacefully while remaining easily accessible to our veterinary team for close monitoring and care.
Our dedicated staff provide continuous care throughout the day, closely observing each patient for any changes in condition. This allows us to respond quickly with treatment adjustments, ensuring your pet gets the attention they need at every stage of their recovery.
All three of our surgeries are equipped to handle overnight hospitalisation during the week, however, over the weekend, all hospitalised patients are transferred to our Marian surgery. This ensures that our on-call veterinarian can monitor all patients from one central location, providing consistent care and quick response when needed.
Our goal is always to deliver the highest standard of veterinary care with your pet’s comfort, safety, and recovery as our top priorities.
Nature's Symphony
Nature's Symphony
Snake Bites
Snake bites are a common occurrence in our region all year round, and can be life-threatening if not treated quickly. At Valley Vet Surgery, all three of our locations are equipped to treat snake bite cases.
Venomous snake bites often cause a sudden collapse, which can be followed by a period where your pet appears to recover and behave normally. This is a critical time, the sooner your pet is brought in for assessment and treatment, the better the outcome may be. In some circumstances, even prompt presentation may result in a sad outcome, however, this can be the cause of the snake that caused the bite being highly venomous.
If you're unsure whether your pet has been bitten, we can hospitalise and monitor them, and use in-house diagnostic testing to help determine if a bite has occurred.
Tick Paralysis
Paralysis ticks are active year-round in our area, and prevention is always better than cure. Keeping your pet up to date with tick prevention is essential to reduce the risk of this potentially fatal condition.
If you remove a paralysis tick from your pet, contact one of the surgeries immediately. Our team can guide you on the next steps, and in some cases, treatment may still be recommended, even if your pet appears well.
If your pet is already showing symptoms such as:
- Gagging or coughing
- Weakness or paralysis
- Loss of appetite or vomiting
It’s important to bring them in as soon as possible. Early treatment can give your pet the best chance of recovery.
Book an Appointment Today
Need to save time? Book Online! Book your pet in for a vaccination or consultation in Marian, Mackay or Walkerston.
Nature's Symphony
Orthopeadic Surgery
At our Marian surgery, we’re proud to offer orthopaedic surgery procedures, thanks to our fully stocked Orthopeadic kits allowing us to perform procedures that often require referral.
Fracture Repairs
When injuries occur, timely intervention matters most. Our team can perform emergency fracture repairs often within just 24 hours of the injury. If specialised equipment is required, we order it promptly typically with a 1–2 day delay during weekdays. While we await the gear, your pet remains safely hospitalised with pain relief and attentive care throughout.
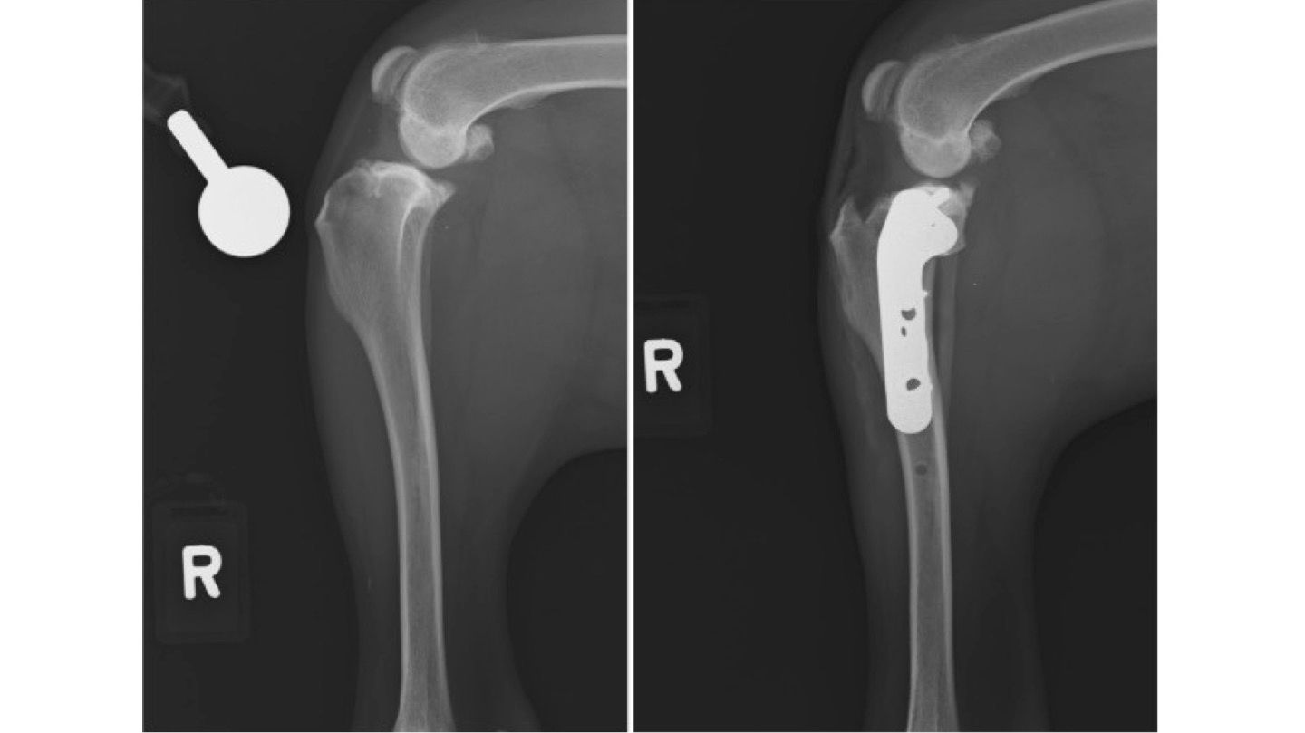
TPLO Surgery (Tibial Plateau Leveling Osteotomy)
For dogs with torn cranial cruciate ligaments (the equivalent of an ACL tear), we offer TPLO surgery, a commonly recommended procedure to restore knee stability.
- TPLO works by cutting and rotating the top segment of the tibia (shinbone) to correct its angle, then securing it with a plate and screws
- This changes the biomechanics of the joint, allowing t he dog to bear weight normally without relying on a damaged ligament
- TPLO is celebrated as the gold standard for cruciate ligament repair, offering excellent long-term outcomes, faster recovery, and high return-to-function rates
Nature's Symphony
Nature's Symphony
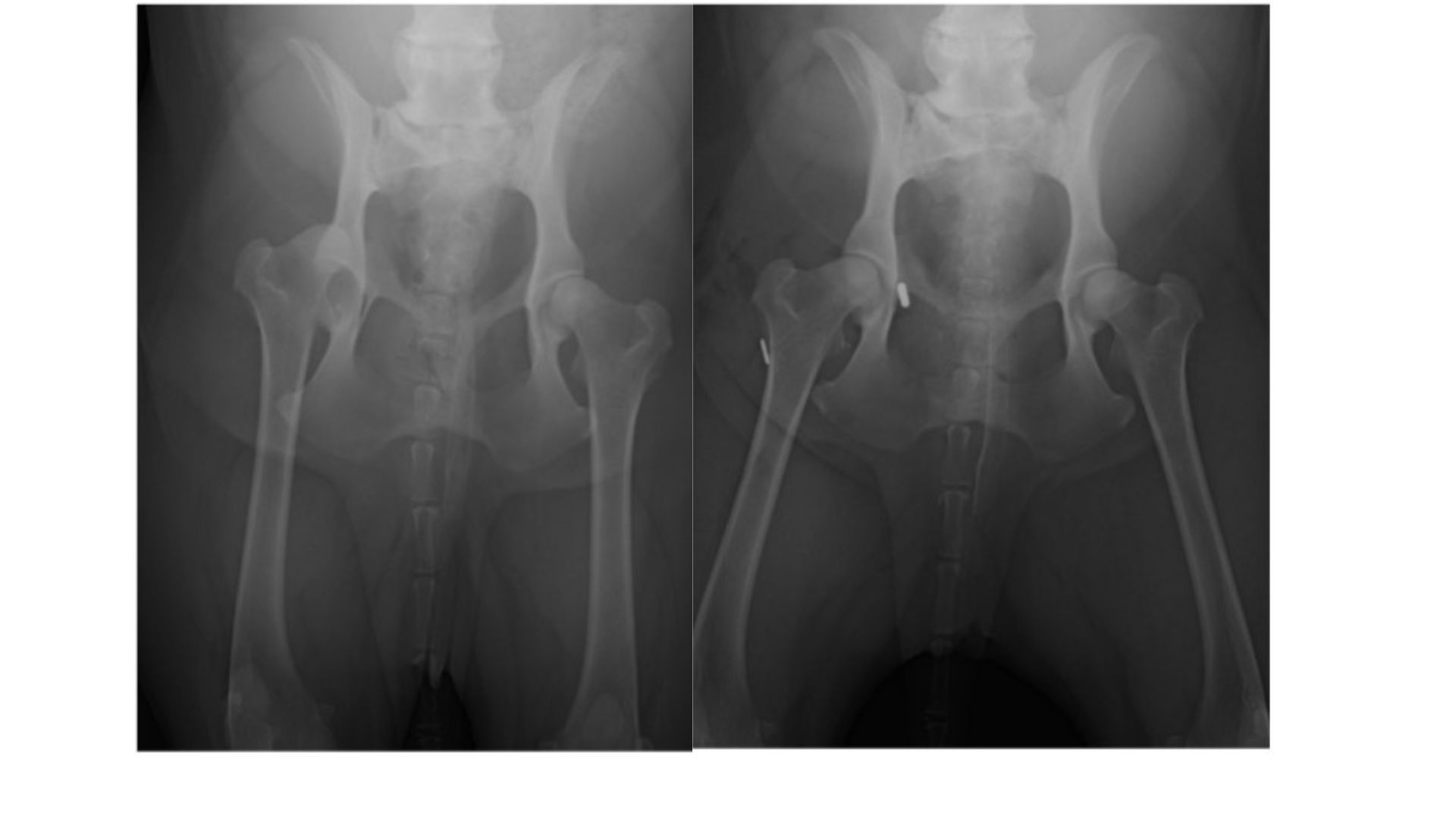
Hip Toggle
When trauma causes hip dislocations, a Hip toggle procedure offers a reliable surgical solution:
- The technique involves drilling tunnels in both the femoral head and hip socket, then passing a synthetic ligament (toggle rod and suture) through them to stabilise the joint
- This mimics the natural ligament’s function and secures the femur in place, often allowing immediate post surgery weight bearing and restoring normal movement
Our veterinarians are always happy to receive referral from other locations for these procedures. In most cases, our veterinarians would perform new radiographs to assist with diagnosis and allow the best possible planning for the procedure that is required.
Dentistry
Just like humans, pets need dental care to maintain their overall health. Dental disease starts with bacteria buildup in the mouth, which, combined with food and saliva, forms plaque that turns into tartar. Without proper care, this can lead to periodontal disease, causing pain, tooth loss, and potentially heart or kidney issues.
Signs of Dental Disease:
- Yellow-brown tartar around the gums
- Red, inflamed gums
- Bad breath
- Difficulty eating or chewing
- Pawing at the face
- Excessive drooling
- Pain or bleeding when touching the mouth
If you notice these signs, schedule an appointment with our veterinarians. Early intervention can save your pet’s teeth.
Preventing Dental Disease
- Brush your pet’s teeth daily using pet-safe toothpaste
- Feed raw meaty bones or dental diets
- Use dental toys, chews, or teeth-cleaning biscuits
- We offer prescription diets with a satisfaction guarantee
Professional Dental Cleanings
A professional cleaning, similar to a human scale and polish, requires general anesthesia as pets can't sit still for cleaning. Our veterinarians will assess your pet's dental health and determine if extractions, antibiotics, or anti-inflammatories are needed. After the cleaning, we'll provide advice on maintaining dental health to avoid future issues.











